Pengumuman

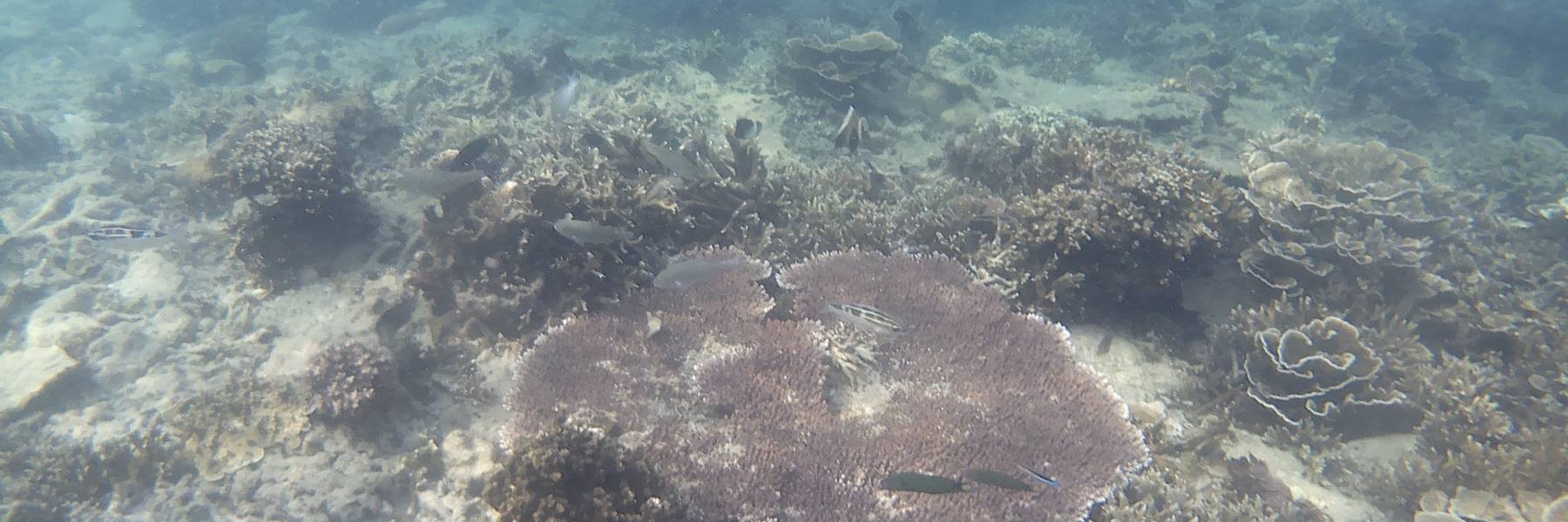
Three Coastal Ecocystem

coral reefs, mangroves, and seagrass

Elasmobranch

shark and rays

Situs Resmi Mari Conservation

Berita Terbaru
news
Artikel Jumat, 19 Desember 2025

Menelusuri Jejak Ikan Lehat (Lobocheilos lehat): Spesies Misterius dari Pulau Jawa yang Terancam Punah atau Bahkan Sudah Punah?

Salah satu ikan endemik yang terdapat di Pulau Jawa yaitu Lobocheilos lehat yang keberadaanya masih sangat misterius. Pertama kali ditemukan pada tahun 1858 di perairan Parongkalong, namun sayangnya belum pernah di temukan kembali sampai saat ini.

news
Artikel Kamis, 18 Desember 2025

Belangkas (Horseshoe Crab) di Teluk Banten: Eksplorasi untuk Konservasi

Aksi Konservasi Mari Conservation Untuk Pelestarian Spesies Belangkas (Horseshoe Crab)

news
Artikel Kamis, 18 Desember 2025

Hiu Gergaji (Largetooth Sawfish) di Ambang Kepunahan: Upaya Menyelamatkan Sang "Raksasa Gergaji" di Perairan Asia

Largetooth Sawfish (Pristis pristis), atau yang dikenal sebagai Hiu Gergaji Gigi Besar, kini berstatus Critically Endangered (Sangat Terancam Punah). Populasi globalnya anjlok drastis hingga 80% dalam 68 tahun terakhir.


INFORMASI INSTANSI

Galeri Foto
img
Perahu Minggu, 03 Agustus 2025
img
Pantai Minggu, 03 Agustus 2025
img
Suasana Pelabuhan Minggu, 03 Agustus 2025
img
Pantai Selasa, 25 April 2023
img
Pantai Rabu, 16 Juni 2021
img
Spesies Rabu, 16 Juni 2021
LINK TERKAIT